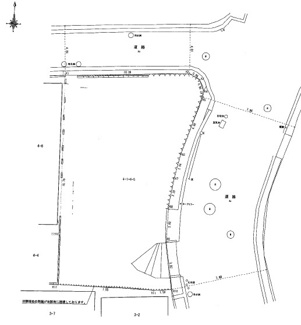
灘区篠原本町2丁目売土地
◎阪急「六甲」駅徒歩6分で、ほぼ平坦地の導線です。また角地であるので、見栄えが大変良く感じます。
周りの街並みも風情が有りますよ!
◎約51.2坪の更地にて、随時建築にかかれます!
-
情報の見方
ローンシミュレーションこの物件を購入した場合の、月々の支払い価格の一例です。借り入れを保証するものではございません。
- 返済期間
-
- 金利
-
- ボーナス時の増額(1回分)
-
- 借入金額:
-
- 頭金:
-

- 毎月の返済額:
(※元利均等方式 金利5.00%まで ※返済年数5~50年まで入力できます)
(※ボーナスは年2回で計算しています。1000万円まで入力できます)
(※物件購入時、その他諸費用が発生する場合がございます)
物件概要
【売地】 物件番号:91781730 情報更新日:2025年11月15日 次回更新予定日:2025年11月29日所在地 兵庫県神戸市灘区篠原本町2丁目 交通 価格 9,980万円 土地の敷金/保証金 -/- 借地料/借地期間 -/- 土地面積(坪数) 169.43㎡(51.25坪) 坪単価 194.73万円 私道負担面積/セットバック -/無 高圧線下面積 - 傾斜地部分面積 - 路地状敷地 - 土地権利 所有権 接道状況 角地(東 公道 8.0m)(北 公道 4.0m) 都市計画 市街化区域 用途地域 第一種低層住居専用 建築条件 無 地目/地勢 宅地/- 建ぺい率 60% 容積率 150% 総区画数 - 販売区画数 - 国土法届出要否 不要 その他の法令上の制限 文化財保護法/宅地造成及び特定盛土等規制法/高度地区/準防火地域/東部山麓住宅地景観ガイドライン 取引態様 仲介 現況 更地 引渡時期 即時 引渡条件 - 最適用途 住宅用地 物件番号 91781730 取引条件の有効期限 2025年11月29日 設備条件 取扱会社 - フロンティアハウス
- 兵庫県神戸市灘区宮山町3丁目3-43
- TEL:0120-231-316
- 兵庫県知事 (7) 第10075号
- 全国宅地建物取引業協会
賃貸不動産管理業協会会員 第05175号
まもりすまい保険 登録番号 21036282号(住宅瑕疵担保責任保険)
※地図上に表示される物件の位置は付近住所に所在することを表すものであり、実際の物件所在地とは異なる場合がございます。
物件お問い合わせ
- 掲載物件数
-
件
- 本日の更新件数
-
件
- 会員物件数
-
件
価格と住所の近い物件
- 灘区灘南通4丁目売土地
- 8,180万円 -/148.18㎡
- 兵庫県神戸市灘区灘南通4丁目
- 東海道本線「摩耶」駅 徒歩2分
- 灘区五毛通4丁目 売地
- 1億2,600万円 -/580.76㎡
- 兵庫県神戸市灘区五毛通4丁目
- 阪急神戸本線「六甲」駅 徒歩25分
- 神戸市灘区国玉通4丁目 売地
- 3,580万円 -/214.99㎡
- 兵庫県神戸市灘区国玉通4丁目
- 阪急神戸本線「王子公園」駅 徒歩13分
- 灘区曾和町2丁目土地
- 4億7,687万円 -/716.58㎡
- 兵庫県神戸市灘区曾和町2丁目
- 阪急神戸本線「六甲」駅 徒歩7分





















